1. ホーム
  2. 物件検索
  3. 物件詳細

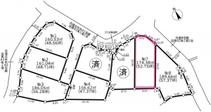
土地秦野市北矢名字南谷戸425番1外NO.7

1 /2

【その他】

【間取り】

50坪以上 上下水道完備

1,450万円

・全8区画の開発分譲地
・建築条件なし

物件概要

所在地
秦野市北矢名字南谷戸425番1外NO.7
価格
1,450 万円
交通

小田急線 東海大学前駅 まで 徒歩17分

接道状況
公道4.5m
土地面積
174.38㎡ (52.74坪)
建ぺい率
50%
容積率
100%
土地権利
所有権
セットバック
無し
小学校区
大根
中学校区
大根
私道負担
建築条件
なし
地目
宅地
現況
更地
引渡時期
予定 2024年3月
上水道
公共
下水道
公共
ガス
プロパン個別
都市計画
調整区域
用途地域
定無
設備・条件
備考
取引態様
仲介
周辺地図を確認する

(弊社管理番号: 1000567)

【更新日】2026年03月17日

【次回更新日】2026年05月17日

【取引条件の有効期限】2026年05月19日

その他周辺物件

この物件は1478人の
方が興味を持っています

HPを見たと言って、お気軽にお問い合わせください!

050-3154-1023

〒257-0045 神奈川県秦野市桜町2丁目1−45

営業時間:9:00〜18:00 定休日:火曜・水曜(ご予約で対応可能)

SNSをフォロー